Журнал безопасности
Журнал безопасности является средством регистрации выполнявшихся в системе действиях пользователей.
При совершении какого-либо действия в журнал помещается информация о нём, соответствующая моменту совершения действия.
Отображаемая в журнале информация о событии впоследствии не меняется.
Информация о любом событии отображается в таблице.
Вызов окна просмотра журнала осуществляется командой "Журналы®Журнал Безопасности" из главного меню модуля администратора
Окно просмотра журнала содержит следующие элементы:
- область просмотра;
- панель группировки;
- панель инструментов.

В полях журнала представлена информация о работе пользователей с программной системой:
- Дата – содержит информацию о дате и времени выполнения пользователем какого-либо действия в рамках программы.
- Категория – наименование категории, к которой относится действие, выполненное пользователем при работе с программой.
- Событие – наименование типа действия, выполненного пользователем при работе с программой.
- Пользователь – имя (логин) пользователя, выполнившего действие.
- Компьютер – имя и IP-адрес компьютера, с которым связано событие.
- Информация – комментарии к событию.
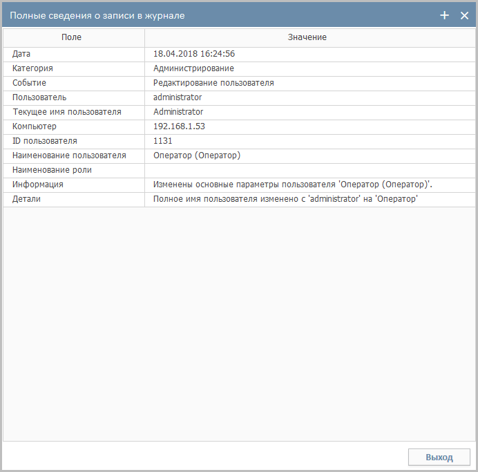
Просмотреть комментарии к событию можно, выполнив двойной щелчок мышкой по записи журнала, соответствующей этому событию или на пиктограмме
панели инструментов. На экране появится окно "Полные сведения о записи в журнале".

Поле "Детали" заполняется только в случае, если в главном меню модуля администратора выставлен флажок "Детализировать изменение раздела", т. е. выполнена команда главного меню "ЖурналыДетализировать изменение раздела".
Для закрытия диалогового окна "Полные сведения о записи в журнале" нажмите кнопку "Выход" либо кнопку
, расположенную в правом верхнем углу окна.